|
| º» °æ¸Å¹°°ÇÀº ³«ÂûµÇ¾î ÀÌ¹Ì ¸ðµç °æ¸ÅÀýÂ÷°¡ ³¡³µ½À´Ï´Ù. ÀÌ ¹°°ÇÀº »ó´ãÇØ µå¸®Áö ¾Ê½À´Ï´Ù. |
|
|
| ¼ÒÀçÁö |
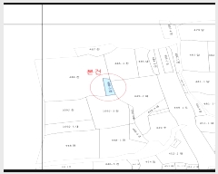
°¿øÆ¯º°ÀÚÄ¡µµ Á¤¼±±º Ⱦϸé Ⱦϸ® 486-3
|
|
| »ç°Ç¹øÈ£ |
2024 Ÿ°æ 33120 º´ÇÕ 2024Ÿ°æ33175, |
¹°°Ç¹øÈ£ |
|
¹°°Ç¿ëµµ |
ÅäÁö(Àü1) |
| °¨Á¤Æò°¡¾× |
4,375,000¿ø |
°æ¸Å´ë»ó |
ÅäÁö¸Å°¢ |
ÁøÇà»óÅ |
³«Âû |
ÃÖÀúÀÔÂû°¡ ³«Âû°¡ |
(34%) 1,501,000¿ø
(0.00%) 0¿ø |
°Ç¹°¸éÀû |
|
ÀÔÂû±âÀÏ |
2026.01.27(È) 10:00
|
| ÀÔÂûº¸Áõ±Ý |
(10%) 150,100¿ø |
ÅäÁö¸éÀû |
175.00§³(52.94Æò)
|
À¯ÂûȽ¼ö |
3ȸ |
| ÀÔÂû¹ý¿ø |
ÃáõÁö¹æ¹ý¿ø ¿µ¿ùÁö¿ø |
°æ¸Å¹æ¹ý |
|
¹°°ÇÁ¶È¸¼ö |
¿À´Ã: 3ȸ [´©Àû: 1264ȸ]
|
| ¸»¼Ò±âÁØ | ÃÖ¼±¼øÀ§ ¼³Á¤ : 2012. 10. 16. °¡¾Ð·ù ¼³Á¤
|
|
|
|
|
|
|
|
|
|
|
°æ¸Å´ë»ó ¸ñ·Ï
|
|
| ±¸ºÐ |
¸ñ·Ï |
ÁÖ¼Ò |
±¸Á¶/¿ëµµ/´ëÁö±Ç |
ºñ°í |
ÅäÁö
|
1 |
Ⱦϸ® 486-3 |
Àü |
175§³ (52.94Æò) |
|
|
|
2025-10-14
À¯Âû
|
(100%)
4,375,000¿ø
|
|
|
|
2025-11-11
À¯Âû
|
(70%)
3,063,000¿ø
|
|
|
|
2025-12-09
À¯Âû
|
(49%)
2,144,000¿ø
|
|
|
|
2026-01-27
³«Âû
|
(34%)
1,501,000¿ø
|
|
|
¦±¦¬> ³«Âû°¡
 |
|
|
|
|
|
|
°¨Á¤Æò°¡¼ ¿ä¾à |
|
[À§Ä¡/ÁÖÀ§È¯°æ]
º»°ÇÀº °¿øÆ¯º°ÀÚÄ¡µµ Á¤¼±±º Ⱦϸé Ⱦϸ® ¼ÒÀç "Ⱦϱ³" ºÏÃø Àαٿ¡ À§Ä¡Çϸç, ºÎ±ÙÀº ´Üµ¶ÁÖÅÃ, ³ó°æÁö ¹× ±Ù¸°»ýȰ½Ã¼³ µîÀÌ È¥ÀçÇÏ´Â Áö¹æµµº¯ ³óÃÌÁö´ëÀÓ.
[±³Åë»óȲ]
º»°Ç±îÁö Â÷·® Á¢±Ù ºÒ°¡Çϸç, ´ëÁß±³Åë »çÁ¤Àº ´Ù¼Ò ºÒÆí½ÃµÊ.
3)ÇüÅ ¹× ÀÌ¿ë»óÅÂ
ºÎÁ¤ÇüÀÇ ¿Ï°æ»çÁö·Î ÈÞ°æ»óÅÂÀÓ.
4)ÀÎÁ¢ µµ·Î»óÅÂ
¸ÍÁöÀÓ.
[ÅäÁöÀÌ¿ë°èȹ]
ÀϷùøÈ£(1) :°èȹ°ü¸®Áö¿ª, °¡Ãà»çÀ°Á¦Çѱ¸¿ª(ÁְŹÐÁýÁö¿ª 100mÀ̳»_¼Ò,¾ç(¿°¼Ò),Á¥¼Ò,»ç½¿,¸»,µÅ)£¼°¡ÃàºÐ´¢ÀÇ °ü¸® ¹× À̿뿡 °üÇÑ ¹ý·ü£¾, (ÇѰ)Æó±â¹°¸Å¸³½Ã¼³ ¼³Ä¡Á¦ÇÑÁö¿ª£¼ÇѰ¼ö°è »ó¼ö¿ø¼öÁú°³¼± ¹× ÁÖ¹ÎÁö¿ø µî¿¡ °üÇÑ ¹ý·ü£¾
6)Á¦½Ã¸ñ·Ï ¿ÜÀÇ ¹°°Ç
ÇØ´ç¾øÀ½.
[°øºÎ¿ÍÀÇ Â÷ÀÌ]
ÇØ´ç¾øÀ½.
[Âü°í»çÇ×]
¹Ì»óÀÓ. |
|
|
|
|
 |
±¹ÅäºÎ½Ç°Å·¡°¡ |
(°¿øÆ¯º°ÀÚÄ¡µµ Á¤¼±±º Ⱦϸé Ⱦϸ®) ½Ç°Å·¡°¡È®ÀÎ |
|
|
¸éÀû(§³), ±Ý¾×(¸¸¿ø)
| °è¾àÀÏ | Áö¸ñ | ¿ëµµÁö¿ª | µµ·Î | °è¾à¸éÀû | °Å·¡±Ý¾× | ±¸ºÐ | | 2026.02.10 | ÀÓ¾ß | °èȹ°ü¸®Áö¿ª | 12m¹Ì¸¸ | 24.75 | 900 | ÁöºÐ | | 2026.02.10 | Àü | °èȹ°ü¸®Áö¿ª | 12m¹Ì¸¸ | 1006 | 3,500 | | | 2026.02.10 | ´ë | °èȹ°ü¸®Áö¿ª | 12m¹Ì¸¸ | 178 | 700 | | | 2026.02.10 | Àü | °èȹ°ü¸®Áö¿ª | 12m¹Ì¸¸ | 310 | 1,100 | | | 2026.02.10 | Àü | °èȹ°ü¸®Áö¿ª | 12m¹Ì¸¸ | 270 | 800 | | | 2025.12.16 | ´ä | °èȹ°ü¸®Áö¿ª | 12m¹Ì¸¸ | 1239 | 10,200 | | | 2025.12.10 | Àü | °èȹ°ü¸®Áö¿ª | - | 493 | 308 | | | 2025.12.10 | Àü | °èȹ°ü¸®Áö¿ª | - | 691 | 429 | | | 2025.12.10 | Àü | °èȹ°ü¸®Áö¿ª | 8m¹Ì¸¸ | 744 | 463 | | | 2025.12.03 | Àü | °èȹ°ü¸®Áö¿ª | - | 3054 | 782 | | | 2025.12.03 | Àü | »ý»ê°ü¸®Áö¿ª | - | 1808.33 | 1,149 | ÁöºÐ | | 2025.12.03 | Àü | »ý»ê°ü¸®Áö¿ª | - | 7193.67 | 4,569 | ÁöºÐ | | 2025.11.21 | Àü | °èȹ°ü¸®Áö¿ª | 8m¹Ì¸¸ | 4694 | 3,800 | | | 2025.10.20 | Àü | °èȹ°ü¸®Áö¿ª | 8m¹Ì¸¸ | 143.33 | 615 | ÁöºÐ | | 2025.09.24 | ÀâÁ¾Áö | °èȹ°ü¸®Áö¿ª | 8m¹Ì¸¸ | 661 | 1,730 | | | 2025.09.24 | Àü | °èȹ°ü¸®Áö¿ª | 8m¹Ì¸¸ | 592 | 1,120 | | | 2025.09.24 | Àü | °èȹ°ü¸®Áö¿ª | 8m¹Ì¸¸ | 584 | 1,150 | | | 2025.09.23 | Àü | °èȹ°ü¸®Áö¿ª | - | 3676 | 14,704 | | | 2025.09.23 | Àü | °èȹ°ü¸®Áö¿ª | - | 3838 | 15,352 | | | 2025.09.12 | ´ë | °èȹ°ü¸®Áö¿ª | 8m¹Ì¸¸ | 307 | 1,000 | | | 2025.09.01 | Àü | °èȹ°ü¸®Áö¿ª | 8m¹Ì¸¸ | 3757 | 10,000 | | | 2025.08.01 | Àü | °èȹ°ü¸®Áö¿ª | 8m¹Ì¸¸ | 5844 | 18,000 | | | 2025.07.14 | Àü | °èȹ°ü¸®Áö¿ª | 12m¹Ì¸¸ | 186 | 1,210 | | | 2025.07.14 | Àü | °èȹ°ü¸®Áö¿ª | 12m¹Ì¸¸ | 504 | 3,335 | | | 2025.07.14 | Àü | °èȹ°ü¸®Áö¿ª | 12m¹Ì¸¸ | 62 | 255 | | | 2025.07.06 | ´ä | ³ó¸²Áö¿ª | - | 2416 | 3,700 | | | 2025.07.06 | ´ä | °èȹ°ü¸®Áö¿ª | - | 1918 | 2,800 | | | 2025.07.02 | Àü | °èȹ°ü¸®Áö¿ª | 8m¹Ì¸¸ | 131 | 230 | | | 2025.07.02 | Àü | °èȹ°ü¸®Áö¿ª | 12m¹Ì¸¸ | 1074 | 2,070 | | | 2025.07.02 | Àü | °èȹ°ü¸®Áö¿ª | 12m¹Ì¸¸ | 2534 | 4,880 | | | 2025.07.02 | Àü | °èȹ°ü¸®Áö¿ª | 12m¹Ì¸¸ | 427 | 820 | | | 2025.04.07 | ´ä | ³ó¸²Áö¿ª | 8m¹Ì¸¸ | 3888.1 | 8,554 | | | 2025.04.05 | µµ·Î | °èȹ°ü¸®Áö¿ª | 8m¹Ì¸¸ | 359 | 1,200 | | | 2025.01.23 | ´ë | °èȹ°ü¸®Áö¿ª | 8m¹Ì¸¸ | 710 | 2,200 | |
|
|
|
 |
ÀÓÂ÷³»¿ª |
[¹è´ç¿ä±¸Á¾±âÀÏ : 2025/02/03] |
|
|
| ÀÓÂ÷ÀÎ |
Á¡À¯°ü°è |
ÀüÀÔÀÏÀÚ |
È®Á¤ÀÏÀÚ |
¹è´ç¿ä±¸ÀÏ |
º¸Áõ±Ý/Â÷ÀÓ |
´ëÇ׿ä°Ç |
ºñ°í |
| Á¶»çµÈ ÀÓÂ÷³»¿ªÀÌ ¾ø½À´Ï´Ù. |
|
|
|
 |
Áö¿ªºÐ¼® |
|
|
|
|
| ÁöÇÏö |
|
Çб³ |
|
| °ü°ø¼ |
|
| ¹ý¿ø |
ÃáõÁö¹æ¹ý¿ø ¿µ¿ùÁö¿ø (262-28)°¿øµµ ¿µ¿ùÀ¾ ¿µ¿ùÇâ±³1±æ 53 (¿µÈ︮) ´ëÇ¥ : 033)371-1114, ¾ß°£ : 033)371-1115 ¿µ¿ù±º, Á¤¼±±º, Źé½Ã, Æòⱺ |
| µî±â¼Ò |
ÃáõÁö¹æ¹ý¿ø º»¿ø Á¤¼±µî±â¼Ò (´ëÇ¥:1544-0773, ÆÑ½º:(033)563-0014, °¿øµµ Á¤¼±±º Á¤¼±À¾ ºÀ¾ç7±æ 7 (ºÀ¾ç¸® 145-3)) |
| ¼¼¹«¼ |
¿µ¿ù¼¼¹«¼ (´ëÇ¥:033-370-02, ÆÑ½º:033-373-1315, °¿øµµ ¿µ¿ù±º ¿µ¿ùÀ¾ Çϼ۾ȱæ 49) |
|
|
|
 |
¹ý¿ø ¹°°ÇÀÚ·á ¿ä¾à |
|
|
|
|
| ¼Ò¸êµÇÁö ¾Ê´Â µî±âºÎ±Ç¸® |
ÇØ´ç»çÇ×¾øÀ½ |
| ¼³Á¤µÈ °ÍÀ¸·Î º¸´Â Áö»ó±Ç |
ÇØ´ç»çÇ×¾øÀ½ |
| ¹ý¿øÀÚ·á Æ¯ÀÌ»çÇ× |
[ÁÖ¿ä ¹®°Ç Á¢¼ö ³»¿ª]
[2026.01.29] ä±ÇÀÚ È²OO ¸Å°¢±âÀÏ º¯°æ½Åû Á¦Ãâ
|
[¸Å°¢¹°°Ç¸í¼¼¼ ºñ°í¶õ]
ÁöÀû°æ°è ºÒºÐ¸í
³óÁöÃëµæÀÚ°ÝÁõ¸í ÇÊ¿ä(¹ÌÁ¦Ãâ½Ã º¸Áõ±Ý ¸ô¼ö, ÀÔÂûÀü ¹ß±Þ½Åû °¡´ÉÇϹǷΠ¹Ì¸® ÁغñÇÒ °Í)
ÇöȲ»ó ÈÞ°æÁöÀÓ
¸ÍÁöÀÓ |
[ºÎµ¿»ê ÇöȲÁ¶»ç¼ ºñ°í¶õ]
-»ó±â ºÎµ¿»êÀº `ÈÞ°æÁö`·Î º¸À̰í, Áö |
|
| ¿©ÀÇÁÖ°æ¸Å Á¶¾ð ÇѸ¶µð |
ÀÌ ºÎµ¿»êÀÇ ÀÔÂû¹ý¿øÀº ÃáõÁö¹æ¹ý¿ø ¿µ¿ùÁö¿øÀÔ´Ï´Ù.
ÀÔÂû½Ã°£Àº ~11:10ÀÔ´Ï´Ù. ÀÌ ¹ý¿ø¿¡´Â ½ÅÇÑÀºÇàÀÌ ÀÔÁ¡Çϰí ÀÖ½À´Ï´Ù.
|
³óÁöÃëµæÀÚ°ÝÁõ¸í¿ø Á¦ÃâÀ» Á¶°ÇÀ¸·Î ÇÏ´Â ¹°°ÇÀÔ´Ï´Ù Àü, ´ä, °ú¼ö¿ø µî ³óÁöÀÌ¸é¼ ¸Å°¢¹°°Ç¸í¼¼¼¿¡ ³óÁöÃëµæÀÚ°ÝÁõ¸íÀÌ ÇÊ¿äÇÏ´Ù°í ¸í½Ã µÇ¾îÀÖ´Ù¸é
³«ÂûÀϷκÎÅÍ 7ÀÏ(¸Å°¢Çã°¡°áÁ¤ÀÏ Àü)±îÁö ³óÁöÃëµæÀÚ°ÝÁõ¸í¿øÀ» ÇØ´ç ½Ã.±¸.À¾¡¤¸é»ç¹«¼Ò¿¡¼ ¹ß±Þ¹Þ¾Æ °æ¸Å¹ý¿ø¿¡ Á¦ÃâÇÏ¿©¾ß ÇÕ´Ï´Ù.
¹ÌÁ¦Ãâ½Ã¿¡´Â ³«ÂûÀÌ ºÒÇã°¡µÇ°í ÀÔÂûº¸Áõ±ÝÀÌ ¸ô¼öµÉ ¼ö ÀÖ½À´Ï´Ù.
ÇØ´ç ³óÁö°¡ ºÒ¹ýÀü¿ë ¶Ç´Â ÇüÁúº¯°æÀÌ µÈ °æ¿ì ¿øÄ¢ÀûÀ¸·Î ³óÁöÃëµæÀÚ°ÝÁõ¸í¿øÀ» ¹ß±Þ¹ÞÀ» ¼ö ¾øÀ¸³ª
»çÈÄ Á¶°ÇºÎ·Î ¹ß±Þ¹ÞÀ» ¼öµµ ÀÖ½À´Ï´Ù. ³ó¾÷ÀÎÀÌ ¾Æ´Ï¾îµµ µÇ°í ¸Õ °Å¸®¿¡ °ÅÁÖÇϴ ŸÁöÀεµ ¹ß±ÞÀÌ °¡´ÉÇÕ´Ï´Ù.
³óÁö¹ý °³Á¤À¸·Î ³óÁöÃëµæÀÚ°ÝÁõ¸í ¹ß±ÞÁ¶°ÇÀÌ ±î´Ù·Î¿ö Á³À¸¹Ç·Î ÀÔÂûÀü¿¡ ¹ß±Þ °¡´É¿©ºÎ¸¦ È®ÀÎÇÏ´Â °ÍÀ» Ãßõµå¸³´Ï´Ù.
³óÁöÃëµæÀÚ°ÝÁõ¸í ¹ß±Þ½ÅûÀº ³ó¾÷°æ¿µ°èȹ¼¸¦ ÀÛ¼ºÇÏ¿©¾ß Çϰí Åë»ó ¹ß±Þ ¼Ò¿ä±â°£Àº 7ÀÏ(³óÁö½ÉÀÇÀ§¿øÈ¸ÀÇ ½ÉÀÇ ´ë»óÀÇ °æ¿ì 14ÀÏ)ÀÔ´Ï´Ù.
³óÁöÃëµæ¸éÀûÀÌ ¼¼´ë¿ø ÇÕ»ê 1,000§³¹Ì¸¸ÀÎ °æ¿ì¿¡´Â ÁÖ¸»Ã¼Ç迵³ó¸ñÀûÀ¸·Î ³óÁö¼ÒÀ¯°¡ °¡´ÉÇÕ´Ï´Ù. |
µ¿½Ã¹è´ç µÉ ¼ö ÀÖ½À´Ï´Ù. º» °ÇÀº ¿©·¯ °³ÀÇ ºÎµ¿»ê¿¡ Àú´ç±ÇÀÌ ¼³Á¤µÇ¾î ÀÖ´Â ºÎµ¿»êÀ» ºÐÇÒÇÏ¿© °æ¸Å°¡ ÁøÇà µÇ´Â ¹°°ÇÀÔ´Ï´Ù. ÀÌ·± °æ¿ì ÇϳªÀÇ »ç°Ç¹øÈ£¿¡ ¿©·¯ °³ÀÇ ¹°°Ç¹øÈ£¸¦ ºÙ¿© °æ¸Å¸¦ ÇÏ°Ô µÇ´Â µ¥, ³«Âû½ÃÁ¡ÀÌ ºü¸£´õ¶óµµ ¹è´çÀº ÃÖÈÄ¿¡ ³«ÂûµÈ ´Ù¸¥ ¹°°Ç°ú µ¿½Ã¿¡ ÀÌ·ç¾î Áú °¡´É¼ºÀÌ ÀÖ½À´Ï´Ù. |
|
|
| Åë°è±â°£ |
³«Âû¹°°Ç¼ö |
Æò±Õ°¨Á¤°¡ |
Æò±Õ³«Âû°¡ |
³«Âû°¡À² |
À¯ÂûȽ¼ö |
| 3°³¿ù |
11°Ç |
95,105,000¿ø |
43,033,951¿ø |
51% |
2.9ȸ |
| 6°³¿ù |
22°Ç |
94,406,455¿ø |
46,028,271¿ø |
55% |
2.8ȸ |
| 12°³¿ù |
39°Ç |
108,628,492¿ø |
44,845,409¿ø |
50% |
3.1ȸ |
|
|
|
|
|
|
 |
|