|
|
| ¼ÒÀçÁö |
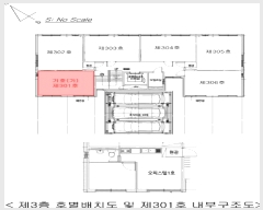
¼¿ïƯº°½Ã ±Ýõ±¸ °¡»êµ¿ 237-8 ŷij½½2Â÷ Á¦3Ãþ Á¦301È£
|
|
| »ç°Ç¹øÈ£ |
2025 Ÿ°æ 8957 |
¹°°Ç¹øÈ£ |
1
|
¹°°Ç¿ëµµ |
¿ÀÇǽºÅÚ |
| °¨Á¤Æò°¡¾× |
235,000,000¿ø |
°æ¸Å´ë»ó |
ÅäÁö ¹× °Ç¹°Àϰý ¸Å°¢ |
ÁøÇà»óÅ |
À¯Âû |
| ÃÖÀúÀÔÂû°¡ |
(80%) 188,000,000¿ø
|
°Ç¹°¸éÀû |
21.91§³(6.63Æò) |
ÀÔÂû±âÀÏ |
2025.12.11(¸ñ) 10:00
(ÀÔÂû 28ÀÏÀü)
|
| ÀÔÂûº¸Áõ±Ý |
(10%) 18,800,000¿ø |
ÅäÁö¸éÀû |
8.17§³(2.47Æò)
|
À¯ÂûȽ¼ö |
1ȸ |
| ÀÔÂû¹ý¿ø |
¼¿ï³²ºÎÁö¹æ¹ý¿ø |
°æ¸Å¹æ¹ý |
|
¹°°ÇÁ¶È¸¼ö |
¿À´Ã: 2ȸ [´©Àû: 7ȸ]
|
| ¸»¼Ò±âÁØ | ÃÖ¼±¼øÀ§ ¼³Á¤ : 2024.11.20. °¡¾Ð·ù ¼³Á¤
|
|
|
|
|
|
|
|
|
|
|
°æ¸Å´ë»ó ¸ñ·Ï
|
|
| ±¸ºÐ |
¸ñ·Ï |
ÁÖ¼Ò |
±¸Á¶/¿ëµµ/´ëÁö±Ç |
ºñ°í |
´ëÁö±Ç
|
1 |
°¡»êµ¿ 237-8 |
519.3ºÐÀÇ 8.165 |
8.165§³ (2.47Æò)
|
°Ç¹°
|
1 |
°¡»êµ¿ 237-8 |
Á¦3Ãþ Á¦301È£ ö±ÙÄÜÅ©¸®Æ®±¸Á¶ |
21.91§³ (6.63Æò)
|
|
|
|
2025-11-04
À¯Âû
|
(100%)
235,000,000¿ø
|
|
|
|
2025-12-11
ÁøÇà
|
(80%)
188,000,000¿ø
|
|
|
|
|
|
|
|
°ÇÃ๰ÇöȲ |
|
|
|
| ¼ÒÀçÁö |
¼¿ïƯº°½Ã ±Ýõ±¸ °¡»êµ¿ 237-8¹øÁö |
| ´ëÁö¸éÀû |
519.3§³(157.36Æò) |
¿¬¸éÀû |
2029.91§³(615.12Æò) |
ÁÖ¿ëµµ |
¾÷¹«½Ã¼³ |
| °ÇÃà¸éÀû |
233.83§³(70.86Æò) |
¿ëÀû·ü»êÁ¤¿¬¸éÀû |
1805.48§³(547.12Æò) |
Âø°øÀÏÀÚ |
2021.08.08 |
| °ÇÆóÀ² |
45.03% |
¿ëÀû·ü |
347.68% |
»ç¿ë½ÂÀÎÀÏÀÚ |
2021.09.14 |
| Áö»óÃþ¼ö |
12Ãþ |
ÁöÇÏÃþ¼ö |
1Ãþ |
±¸Á¶ |
ö±ÙÄÜÅ©¸®Æ®±¸Á¶ |
°ÇÃ๰Ãþº°ÇöȲ [º¸±â]| Ãþº° | ±¸Á¶ | ¿ëµµ | ¸éÀû | | 1Ãþ | ö±ÙÄÜÅ©¸®Æ®±¸Á¶ | ±â°è½Ä ÁÖÂ÷Àå | 48.84§³ (14.8Æò) | | 1Ãþ | ö±ÙÄÜÅ©¸®Æ®±¸Á¶ | ±â°è½Ä ÁÖÂ÷Àå | 48.84§³ (14.8Æò) | | 1Ãþ | ö±ÙÄÜÅ©¸®Æ®±¸Á¶ | °è ´Ü ½Ç | 18.52§³ (5.61Æò) | | 1Ãþ | ö±ÙÄÜÅ©¸®Æ®±¸Á¶ | °è ´Ü ½Ç | 18.52§³ (5.61Æò) | | 2Ãþ | ö±ÙÄÜÅ©¸®Æ®±¸Á¶ | ¿ÀÇǽºÅÚ | 168.53§³ (51.07Æò) | | 2Ãþ | ö±ÙÄÜÅ©¸®Æ®±¸Á¶ | ¿ÀÇǽºÅÚ | 168.53§³ (51.07Æò) | | 3Ãþ | ö±ÙÄÜÅ©¸®Æ®±¸Á¶ | ¿ÀÇǽºÅÚ | 168.53§³ (51.07Æò) | | 3Ãþ | ö±ÙÄÜÅ©¸®Æ®±¸Á¶ | ¿ÀÇǽºÅÚ | 168.53§³ (51.07Æò) | | 4Ãþ | ö±ÙÄÜÅ©¸®Æ®±¸Á¶ | ¿ÀÇǽºÅÚ | 168.53§³ (51.07Æò) | | 4Ãþ | ö±ÙÄÜÅ©¸®Æ®±¸Á¶ | ¿ÀÇǽºÅÚ | 168.53§³ (51.07Æò) | | 5Ãþ | ö±ÙÄÜÅ©¸®Æ®±¸Á¶ | ¿ÀÇǽºÅÚ | 168.53§³ (51.07Æò) | | 5Ãþ | ö±ÙÄÜÅ©¸®Æ®±¸Á¶ | ¿ÀÇǽºÅÚ | 168.53§³ (51.07Æò) | | 6Ãþ | ö±ÙÄÜÅ©¸®Æ®±¸Á¶ | ¿ÀÇǽºÅÚ | 168.53§³ (51.07Æò) | | 6Ãþ | ö±ÙÄÜÅ©¸®Æ®±¸Á¶ | ¿ÀÇǽºÅÚ | 168.53§³ (51.07Æò) | | 7Ãþ | ö±ÙÄÜÅ©¸®Æ®±¸Á¶ | ¿ÀÇǽºÅÚ | 168.53§³ (51.07Æò) | | 7Ãþ | ö±ÙÄÜÅ©¸®Æ®±¸Á¶ | ¿ÀÇǽºÅÚ | 168.53§³ (51.07Æò) | | 8Ãþ | ö±ÙÄÜÅ©¸®Æ®±¸Á¶ | ¿ÀÇǽºÅÚ | 168.53§³ (51.07Æò) | | 8Ãþ | ö±ÙÄÜÅ©¸®Æ®±¸Á¶ | ¿ÀÇǽºÅÚ | 168.53§³ (51.07Æò) | | 9Ãþ | ö±ÙÄÜÅ©¸®Æ®±¸Á¶ | ¿ÀÇǽºÅÚ | 168.53§³ (51.07Æò) | | 9Ãþ | ö±ÙÄÜÅ©¸®Æ®±¸Á¶ | ¿ÀÇǽºÅÚ | 168.53§³ (51.07Æò) | | 10Ãþ | ö±ÙÄÜÅ©¸®Æ®±¸Á¶ | ¿ÀÇǽºÅÚ | 168.53§³ (51.07Æò) | | 10Ãþ | ö±ÙÄÜÅ©¸®Æ®±¸Á¶ | ¿ÀÇǽºÅÚ | 168.53§³ (51.07Æò) | | 11Ãþ | ö±ÙÄÜÅ©¸®Æ®±¸Á¶ | ¿ÀÇǽºÅÚ | 168.53§³ (51.07Æò) | | 11Ãþ | ö±ÙÄÜÅ©¸®Æ®±¸Á¶ | ¿ÀÇǽºÅÚ | 168.53§³ (51.07Æò) | | 12Ãþ | ö±ÙÄÜÅ©¸®Æ®±¸Á¶ | ¿ÀÇǽºÅÚ | 101.66§³ (30.81Æò) | | 12Ãþ | ö±ÙÄÜÅ©¸®Æ®±¸Á¶ | ¿ÀÇǽºÅÚ | 101.66§³ (30.81Æò) | | ¿Áž1Ãþ | ö±ÙÄÜÅ©¸®Æ®±¸Á¶ | °è ´Ü ½Ç | 18.52§³ (5.61Æò) | | ¿Áž1Ãþ | ö±ÙÄÜÅ©¸®Æ®±¸Á¶ | °è ´Ü ½Ç | 18.52§³ (5.61Æò) | | Áö1Ãþ | ö±ÙÄÜÅ©¸®Æ®±¸Á¶ | ±â°è½Ç, Åë½Å½Ç, Àü±â½Ç | 175.59§³ (53.21Æò) | | Áö1Ãþ | ö±ÙÄÜÅ©¸®Æ®±¸Á¶ | ±â°è½Ç, Åë½Å½Ç, Àü±â½Ç | 175.59§³ (53.21Æò) |
|
|
|
|
|
|
|
|
|
¸éÀû(§³), ±Ý¾×(¸¸¿ø)
| °è¾àÀÏ | ±âÁØ | °Ç¹°¸íĪ | Ãþ | Àü¿ë¸éÀû | °Å·¡±Ý¾× | °ÇÃà³âµµ | | °Å·¡³»¿ªÀÌ ¾ø½À´Ï´Ù. |
| °è¾àÀÏ | ±âÁØ | °Ç¹°¸íĪ | Ãþ | Àü¿ë¸éÀû | º¸Áõ±Ý | ¿ù¼¼ | °ÇÃà³âµµ | | 2025.10.29 | Àü¼¼ | ŷij½½2Â÷ | 10 | 23.01 | 21,000 | 0 | 2021 | | 2025.10.23 | ¿ù¼¼ | ŷij½½2Â÷ | 6 | 21.38 | 19,100 | 4 | 2021 | | 2025.10.21 | Àü¼¼ | ŷij½½2Â÷ | 2 | 21.38 | 19,005 | 0 | 2021 | | 2025.10.20 | Àü¼¼ | ŷij½½2Â÷ | 4 | 23.01 | 21,100 | 0 | 2021 | | 2025.10.15 | ¿ù¼¼ | ŷij½½2Â÷ | 10 | 23.01 | 22,080 | 2 | 2021 | | 2025.10.10 | Àü¼¼ | ŷij½½2Â÷ | 10 | 21.38 | 20,055 | 0 | 2021 | | 2025.10.02 | Àü¼¼ | ŷij½½2Â÷ | 5 | 21.38 | 19,840 | 0 | 2021 | | 2025.09.29 | Àü¼¼ | ŷij½½2Â÷ | 4 | 21.38 | 19,840 | 0 | 2021 | | 2025.09.22 | ¿ù¼¼ | ŷij½½2Â÷ | 11 | 21.91 | 19,170 | 16 | 2021 | | 2025.09.21 | Àü¼¼ | ŷij½½2Â÷ | 9 | 21.91 | 20,120 | 0 | 2021 | | 2025.09.18 | ¿ù¼¼ | ŷij½½2Â÷ | 12 | 23.01 | 20,610 | 13 | 2021 | | 2025.09.13 | Àü¼¼ | ŷij½½2Â÷ | 11 | 23.01 | 23,000 | 0 | 2021 | | 2025.09.13 | ¿ù¼¼ | ŷij½½2Â÷ | 6 | 21.91 | 20,500 | 9 | 2021 | | 2025.09.10 | ¿ù¼¼ | ŷij½½2Â÷ | 2 | 23.01 | 19,500 | 4 | 2021 | | 2025.08.28 | Àü¼¼ | ŷij½½2Â÷ | 7 | 21.38 | 20,000 | 0 | 2021 | | 2025.08.28 | ¿ù¼¼ | ŷij½½2Â÷ | 11 | 21.38 | 20,400 | 9 | 2021 | | 2025.08.23 | ¿ù¼¼ | ŷij½½2Â÷ | 6 | 21.91 | 20,530 | 6 | 2021 | | 2025.08.20 | Àü¼¼ | ŷij½½2Â÷ | 3 | 23.01 | 21,630 | 0 | 2021 | | 2025.08.17 | Àü¼¼ | ŷij½½2Â÷ | 5 | 23.01 | 19,900 | 0 | 2021 | | 2025.08.12 | ¿ù¼¼ | ŷij½½2Â÷ | 3 | 21.38 | 20,000 | 9 | 2021 | | 2025.08.08 | Àü¼¼ | ŷij½½2Â÷ | 10 | 21.91 | 20,055 | 0 | 2021 | | 2025.08.02 | ¿ù¼¼ | ŷij½½2Â÷ | 10 | 21.91 | 18,600 | 19 | 2021 | | 2025.07.22 | ¿ù¼¼ | ŷij½½2Â÷ | 3 | 21.38 | 20,000 | 9 | 2021 | | 2025.07.20 | ¿ù¼¼ | ŷij½½2Â÷ | 11 | 21.38 | 19,760 | 16 | 2021 | | 2025.07.17 | Àü¼¼ | ŷij½½2Â÷ | 5 | 21.91 | 19,200 | 0 | 2021 | | 2025.06.26 | ¿ù¼¼ | ŷij½½2Â÷ | 12 | 21.38 | 20,000 | 10 | 2021 | | 2025.06.24 | Àü¼¼ | ŷij½½2Â÷ | 8 | 21.91 | 19,000 | 0 | 2021 | | 2024.11.07 | Àü¼¼ | ŷij½½2Â÷ | 7 | 21.38 | 21,600 | 0 | 2021 | | 2024.10.18 | ¿ù¼¼ | ŷij½½2Â÷ | 10 | 21.91 | 18,600 | 19 | 2021 | | 2024.10.02 | Àü¼¼ | ŷij½½2Â÷ | 8 | 23.01 | 22,680 | 0 | 2021 | | 2024.09.19 | Àü¼¼ | ŷij½½2Â÷ | 9 | 23.01 | 22,600 | 0 | 2021 | | 2024.09.07 | Àü¼¼ | ŷij½½2Â÷ | 2 | 21.38 | 21,700 | 0 | 2021 | | 2024.08.24 | Àü¼¼ | ŷij½½2Â÷ | 7 | 23.01 | 22,500 | 0 | 2021 | | 2024.08.07 | Àü¼¼ | ŷij½½2Â÷ | 4 | 23.01 | 22,260 | 0 | 2021 | | 2024.05.29 | Àü¼¼ | ŷij½½2Â÷ | 8 | 21.38 | 21,900 | 0 | 2021 | | 2024.05.09 | Àü¼¼ | ŷij½½2Â÷ | 10 | 21.38 | 22,700 | 0 | 2021 | | 2024.04.01 | Àü¼¼ | ŷij½½2Â÷ | 2 | 23.01 | 19,000 | 0 | 2021 | | 2024.03.27 | ¿ù¼¼ | ŷij½½2Â÷ | 4 | 21.91 | 18,427 | 2 | 2021 | | 2024.03.17 | Àü¼¼ | ŷij½½2Â÷ | 5 | 21.38 | 18,900 | 0 | 2021 |
|
|
|
 |
ÀÓÂ÷³»¿ª |
[¹è´ç¿ä±¸Á¾±âÀÏ : 2025/06/05] |
|
|
| ÀÓÂ÷ÀÎ |
Á¡À¯°ü°è |
ÀüÀÔÀÏÀÚ |
È®Á¤ÀÏÀÚ |
¹è´ç¿ä±¸ÀÏ |
º¸Áõ±Ý/Â÷ÀÓ |
´ëÇ׿ä°Ç |
ºñ°í |
| ÁÖOOOOOOO |
ÀüºÎ |
2021.11.01. |
2021.09.27. |
2025.5.30. |
209,000,000
|
O |
2021.10.30.~2023.10.29. |
| ÃÖOO |
ÀüºÎ |
2021.11.1. |
2021.9.27. |
|
209,000,000
|
O |
2021.10.30.~ |
| ¸Å°¢¹°°Ç¸í¼¼ ºñ°í |
ÁÖÅõµ½Ãº¸Áõ°ø»ç:ÁÖÅÃÀÓÂ÷±ÇÀÚ ÃÖÀçÇöÀÇ ÁöÀ§¸¦ ½Â°èÇÑ ÀÌ »ç°Ç ½Åûä±ÇÀÚ·Î ±Ç¸®½Å°í ¹× ¹è´ç¿ä±¸ÀÏÀº °æ¸Å½ÅûÀÏÀÓ |
|
|
|
 |
Áö¿ªºÐ¼® |
|
|
|
|
| ÁöÇÏö |
|
Çб³ |
|
| °ü°ø¼ |
|
| ¹ý¿ø |
¼¿ï³²ºÎÁö¹æ¹ý¿ø (080-88)¼¿ïƯº°½Ã ¾çõ±¸ ½Å¿ù·Î 386(½ÅÁ¤µ¿) ´ëÇ¥ : 02)2192-1114 ¿µµîÆ÷±¸, °¼±¸, ¾çõ±¸, ±¸·Î±¸, ±Ýõ±¸ |
| µî±â¼Ò |
¼¿ï³²ºÎÁö¹æ¹ý¿ø º»¿ø µî±â±¹ (´ëÇ¥:1544-0773, ÆÑ½º:(02)2629-7307, ¼¿ïƯº°½Ã ¿µµîÆ÷±¸ °æÀηΠ772 (¹®·¡µ¿ 1°¡)) |
| ¼¼¹«¼ |
±Ýõ¼¼¹«¼ (´ëÇ¥:02-850-420, ÆÑ½º:02-861-1475, ¼¿ïƯº°½Ã ±Ýõ±¸ ½ÃÈï´ë·Î152±æ 11-21 (µ¶»êµ¿)) |
|
|
|
 |
¹ý¿ø ¹°°ÇÀÚ·á ¿ä¾à |
|
|
|
|
| ¼Ò¸êµÇÁö ¾Ê´Â µî±âºÎ±Ç¸® |
|
| ¼³Á¤µÈ °ÍÀ¸·Î º¸´Â Áö»ó±Ç |
|
| ¹ý¿øÀÚ·á Æ¯ÀÌ»çÇ× |
[ÁÖ¿ä ¹®°Ç Á¢¼ö ³»¿ª]
|
[¸Å°¢¹°°Ç¸í¼¼¼ ºñ°í¶õ]
Ưº°¸Å°¢Á¶°Ç : ÁÖÅõµ½Ãº¸Áõ°ø»ç´Â ¸Å¼öÀο¡ ´ëÇØ ¹è´ç¹ÞÁö ¸øÇÏ´Â Àܾ׿¡ ´ëÇÑ ÀÓ´ëÂ÷º¸Áõ±Ý ¹Ýȯû±¸±ÇÀ» Æ÷±âÇϰí, ÀÓÂ÷±Ç
µî±â¸¦ ¸»¼ÒÇÏ´Â °ÍÀ» Á¶°ÇÀ¸·Î ¸Å°¢ |
|
| ¿©ÀÇÁÖ°æ¸Å Á¶¾ð ÇѸ¶µð |
ÀÌ ºÎµ¿»êÀÇ ÀÔÂû¹ý¿øÀº ¼¿ï³²ºÎÁö¹æ¹ý¿øÀÔ´Ï´Ù.
ÀÔÂûÀÏÀº 2025-12-11ÀÔ´Ï´Ù.
ÀÔÂû½Ã°£Àº ~11:20ÀÔ´Ï´Ù. ÀÌ ¹ý¿ø¿¡´Â ½ÅÇÑÀºÇàÀÌ ÀÔÁ¡Çϰí ÀÖ½À´Ï´Ù.
|
|
|
| Åë°è±â°£ |
³«Âû¹°°Ç¼ö |
Æò±Õ°¨Á¤°¡ |
Æò±Õ³«Âû°¡ |
³«Âû°¡À² |
À¯ÂûȽ¼ö |
| 3°³¿ù |
43°Ç |
217,930,233¿ø |
182,481,772¿ø |
84% |
1.5ȸ |
| 6°³¿ù |
75°Ç |
216,312,992¿ø |
179,559,547¿ø |
84% |
1.7ȸ |
| 12°³¿ù |
128°Ç |
220,386,519¿ø |
188,213,170¿ø |
86% |
1.7ȸ |
|
|
|
|
|
|
 |
|