|
|
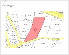
| ¼ÒÀçÁö |
Àü¶ó³²µµ ¿µ¾Ï±º ¿µ¾ÏÀ¾ ¿ª¸® 411
|
|
| »ç°Ç¹øÈ£ |
2025 Ÿ°æ 51007 |
¹°°Ç¹øÈ£ |
1
|
¹°°Ç¿ëµµ |
ÅäÁö(°ú¼ö¿ø) |
| °¨Á¤Æò°¡¾× |
491,228,000¿ø |
°æ¸Å´ë»ó |
ÅäÁö¸Å°¢ |
ÁøÇà»óÅ |
½Å°Ç |
| ÃÖÀúÀÔÂû°¡ |
(100%) 491,228,000¿ø
|
°Ç¹°¸éÀû |
|
ÀÔÂû±âÀÏ |
2025.12.15(¿ù) 10:00
(ÀÔÂû 13ÀÏÀü)
|
| ÀÔÂûº¸Áõ±Ý |
(10%) 49,122,800¿ø |
ÅäÁö¸éÀû |
2,958.00§³(894.80Æò)
|
À¯ÂûȽ¼ö |
0ȸ |
| ÀÔÂû¹ý¿ø |
±¤ÁÖÁö¹æ¹ý¿ø ¸ñÆ÷Áö¿ø |
°æ¸Å¹æ¹ý |
|
¹°°ÇÁ¶È¸¼ö |
¿À´Ã: 6ȸ [´©Àû: 7ȸ]
|
| ¸»¼Ò±âÁØ | ÃÖ¼±¼øÀ§ ¼³Á¤ : 2018. 12. 27. ±ÙÀú´ç±Ç ¼³Á¤
|
|
|
|
|
|
|
|
|
|
|
°æ¸Å´ë»ó ¸ñ·Ï
|
|
| ±¸ºÐ |
¸ñ·Ï |
ÁÖ¼Ò |
±¸Á¶/¿ëµµ/´ëÁö±Ç |
ºñ°í |
ÅäÁö
|
1 |
¿ª¸® 411 |
°ú¼ö¿ø[ÇöȲ: Àü(ÈÞ°æÁö)] |
2958§³ (894.80Æò) |
| Á¦½Ã¿Ü°Ç¹° |
1 |
¿ª¸® 411 |
Á¦½Ã¿Ü¼ö¸ñ |
Æ÷ÇÔ |
|
|
|
2025-12-15
ÁøÇà
|
(100%)
491,228,000¿ø
|
|
|
|
|
|
°¨Á¤Æò°¡¼ ¿ä¾à |
|
[À§Ä¡/ÁÖÀ§È¯°æ]
º» °ÇÀº Àü¶ó³²µµ ¿µ¾Ï±º ¿µ¾ÏÀ¾ ¿ª¸® ¼ÒÀç ""Àå¼µ¿»õ¸¶À»"" µ¿Ãø Àαٿ¡ À§Ä¡Çϸç, ÁÖÀ§´Â ³ó°æÁö, ´Üµ¶ÁÖÅÃ, Á¡Æ÷ ¹× »ó°¡ µîÀÌ È¥ÀçÇÏ´Â Áö´ëÀÓ.
[±³Åë»óȲ]
º» °Ç±îÁö Â÷·®Á¢±ÙÀÌ °¡´ÉÇϸç Àαٿ¡ °£¼±µµ·Î µîÀÌ ¼ÒÀçÇÏ¿© ÀϹÝÀûÀÎ ±³Åë»çÁ¤Àº º¸Åë½Ã µÊ.
3)ÇüÅ ¹× ÀÌ¿ë»óÅÂ
»ç´Ù¸®ÇüÀÇ ÅäÁö·Î Àü(ÈÞ°æÁö)·Î ÀÌ¿ëÁßÀÓ.
4)ÀÎÁ¢ µµ·Î»óÅÂ
º» °Ç ³²ÃøÀ¸·Î ³ëÆø ¾à 4mÀÇ Æ÷Àåµµ·Î¿¡ Á¢ÇÔ.
[ÅäÁöÀÌ¿ë°èȹ]
µµ½ÃÁö¿ª, Á¦1Á¾ÀϹÝÁÖ°ÅÁö¿ª, °¡Ãà»çÀ°Á¦Çѱ¸¿ª(250mÁ¦Çѱ¸¿ª(¼Ò,Á¥¼Ò,±×¿Ü°¡Ãà/´ß,¿À¸®,¸ÞÃ߸®/µÅÁö,°³))£¼°¡ÃàºÐ´¢ÀÇ °ü¸® ¹× À̿뿡 °üÇÑ ¹ý·ü£¾, Çϼö󸮱¸¿ª£¼Çϼöµµ¹ý£¾
6)Á¦½Ã¸ñ·Ï ¿ÜÀÇ ¹°°Ç
º°Ã· ""»çÁø¿ëÁö"" ÂüÁ¶
[°øºÎ¿ÍÀÇ Â÷ÀÌ]
°øºÎ»ó °ú¼ö¿øÀ̳ª ÇöȲ ""Àü(ÈÞ°æÁö)""ÀÓ.
[Âü°í»çÇ×]
8. ÀÓ´ë°ü°è ¹× ±âŸÂü°í»çÇ×
1) ÀÓ´ë°ü°è
¹Ì»óÀÓ
2) ±âŸÂü°í»çÇ×
-- |
|
|
|
|
|
|
|
¸éÀû(§³), ±Ý¾×(¸¸¿ø)
| °è¾àÀÏ | Áö¸ñ | ¿ëµµÁö¿ª | µµ·Î | °è¾à¸éÀû | °Å·¡±Ý¾× | ±¸ºÐ | | 2025.11.24 | ´ä | ³ó¸²Áö¿ª | 8m¹Ì¸¸ | 3123.4 | 8,270 | | | 2025.11.24 | ´ä | ³ó¸²Áö¿ª | 8m¹Ì¸¸ | 3014.6 | 7,980 | | | 2025.07.21 | ´ë | ÀϹݻó¾÷Áö¿ª | 12m¹Ì¸¸ | 34 | 5,000 | | | 2025.06.27 | ´ä | ÀÚ¿¬³ìÁöÁö¿ª | 8m¹Ì¸¸ | 2981.5 | 11,032 | | | 2025.06.27 | ´ä | ÀÚ¿¬³ìÁöÁö¿ª | 8m¹Ì¸¸ | 900.6 | 3,242 | | | 2025.04.21 | ´ä | ÀÚ¿¬³ìÁöÁö¿ª | 8m¹Ì¸¸ | 3033.3 | 7,000 | | | 2025.03.28 | ´ë | Á¦1Á¾ÀϹÝÁÖ°ÅÁö¿ª | 8m¹Ì¸¸ | 21 | 1,301 | | | 2025.03.28 | ÀÓ¾ß | Á¦1Á¾ÀϹÝÁÖ°ÅÁö¿ª | 8m¹Ì¸¸ | 7 | 176 | | | 2025.03.12 | Àü | Á¦1Á¾ÀϹÝÁÖ°ÅÁö¿ª | 8m¹Ì¸¸ | 671.5 | 5,000 | ÁöºÐ | | 2025.03.04 | ÁÖÂ÷Àå | Á¦2Á¾ÀϹÝÁÖ°ÅÁö¿ª | 8m¹Ì¸¸ | 264 | 4,000 | ÁöºÐ | | 2025.02.03 | ÁÖÂ÷Àå | Á¦2Á¾ÀϹÝÁÖ°ÅÁö¿ª | 8m¹Ì¸¸ | 264 | 5,000 | ÁöºÐ | | 2024.12.02 | ÁÖÂ÷Àå | ÀÚ¿¬³ìÁöÁö¿ª | 8m¹Ì¸¸ | 340 | 2,000 | | | 2024.10.22 | ´ë | ÀϹݻó¾÷Áö¿ª | 8m¹Ì¸¸ | 215 | 6,800 | | | 2024.09.09 | ´ä | ÀÚ¿¬³ìÁöÁö¿ª | 8m¹Ì¸¸ | 484.8 | 1,430 | | | 2024.07.25 | ÁÖÂ÷Àå | ÀÚ¿¬³ìÁöÁö¿ª | 8m¹Ì¸¸ | 340 | 2,000 | | | 2024.07.10 | ÁÖÂ÷Àå | Á¦2Á¾ÀϹÝÁÖ°ÅÁö¿ª | 8m¹Ì¸¸ | 264 | 3,500 | ÁöºÐ | | 2024.07.10 | ÁÖÂ÷Àå | Á¦2Á¾ÀϹÝÁÖ°ÅÁö¿ª | 8m¹Ì¸¸ | 264 | 3,500 | ÁöºÐ | | 2024.07.03 | ÀÓ¾ß | Á¦2Á¾ÀϹÝÁÖ°ÅÁö¿ª | 8m¹Ì¸¸ | 13.75 | 30 | ÁöºÐ | | 2024.06.25 | Àü | ÀÚ¿¬³ìÁöÁö¿ª | 8m¹Ì¸¸ | 1689 | 4,000 | | | 2024.05.30 | Àü | Á¦1Á¾ÀϹÝÁÖ°ÅÁö¿ª | 25m¹Ì¸¸ | 23 | 774 | | | 2024.05.30 | Àü | Á¦1Á¾ÀϹÝÁÖ°ÅÁö¿ª | 25m¹Ì¸¸ | 23 | 774 | | | 2024.05.30 | ´ä | Á¦1Á¾ÀϹÝÁÖ°ÅÁö¿ª | 25m¹Ì¸¸ | 101 | 3,399 | | | 2024.05.30 | ´ä | Á¦1Á¾ÀϹÝÁÖ°ÅÁö¿ª | 25m¹Ì¸¸ | 101 | 3,399 | | | 2024.05.30 | ¹¦Áö | ÀÚ¿¬³ìÁöÁö¿ª | - | 348 | 3,600 | | | 2024.03.09 | ´ë | Á¦2Á¾ÀϹÝÁÖ°ÅÁö¿ª | 8m¹Ì¸¸ | 24.75 | 440 | ÁöºÐ | | 2024.01.09 | ´ä | ³ó¸²Áö¿ª | 8m¹Ì¸¸ | 2,867 | 6,944 | |
|
|
|
 |
ÀÓÂ÷³»¿ª |
[¹è´ç¿ä±¸Á¾±âÀÏ : 2025/07/07] |
|
|
| ÀÓÂ÷ÀÎ |
Á¡À¯°ü°è |
ÀüÀÔÀÏÀÚ |
È®Á¤ÀÏÀÚ |
¹è´ç¿ä±¸ÀÏ |
º¸Áõ±Ý/Â÷ÀÓ |
´ëÇ׿ä°Ç |
ºñ°í |
| ¸Å°¢±âÀÏ 7ÀÏÀü¿¡ °ø°íµÇ¿À´Ï È®ÀÎÇϽñ⠹ٶø´Ï´Ù. |
|
|
|
 |
Áö¿ªºÐ¼® |
|
|
|
|
| ÁöÇÏö |
|
Çб³ |
|
| °ü°ø¼ |
|
| ¹ý¿ø |
±¤ÁÖÁö¹æ¹ý¿ø ¸ñÆ÷Áö¿ø (586-71)Àü¶ó³²µµ ¸ñÆ÷½Ã Á¤ÀÇ·Î 29 (¿Á¾Ïµ¿) ´ëÇ¥ : 061)270-6600 ¸ñÆ÷½Ã, ¹«¾È±º, ½Å¾È±º, ÇÔÆò±º, ¿µ¾Ï±º |
| µî±â¼Ò |
±¤ÁÖÁö¹æ¹ý¿ø º»¿ø ¿µ¾Ïµî±â¼Ò (´ëÇ¥:1544-0773, ÆÑ½º:(061)472-3636, Àü³² ¿µ¾Ï±º ¿µ¾ÏÀ¾ ¼³²¿ª·Î 21 (¼³²¸® 70-1)) |
| ¼¼¹«¼ |
¸ñÆ÷¼¼¹«¼ (´ëÇ¥:061-241-12, ÆÑ½º:061-244-5915, Àü¶ó³²µµ ¸ñÆ÷½Ã È£³²·Î 58¹ø±æ 19 (´ë¾Èµ¿)) |
|
|
|
 |
¹ý¿ø ¹°°ÇÀÚ·á ¿ä¾à |
|
|
|
|
| ¼Ò¸êµÇÁö ¾Ê´Â µî±âºÎ±Ç¸® |
|
| ¼³Á¤µÈ °ÍÀ¸·Î º¸´Â Áö»ó±Ç |
|
| ¹ý¿øÀÚ·á Æ¯ÀÌ»çÇ× |
[ÁÖ¿ä ¹®°Ç Á¢¼ö ³»¿ª]
[2025.07.29] ±âŸ ¿¡OOOOOOOOOOOOOO OOOO ä±ÇÀÚº¯°æ½Å°í Á¦Ãâ
|
[¸Å°¢¹°°Ç¸í¼¼¼ ºñ°í¶õ]
Á¦½Ã¿Ü ¼ö¸ñ(°¨³ª¹«) Æ÷ÇÔ
°øºÎ»ó °ú¼ö¿øÀ̳ª ÇöȲÀº Àü(ÈÞ°æÁö)À̰í, ÅäÁöÀÌ¿ë°èȹȮÀμ»ó µµ½ÃÁö¿ª, Á¦1Á¾ÀϹÝÁÖ°ÅÁö¿ªÀÓ |
[ºÎµ¿»ê ÇöȲÁ¶»ç¼ ºñ°í¶õ]
¢¹ º»°ÇÀº °øºÎ»ó°ú µ¿ÀÏÇÑ `°ú¼ö¿ø`À̳ª ÀÏ |
|
| ¿©ÀÇÁÖ°æ¸Å Á¶¾ð ÇѸ¶µð |
ÀÌ ºÎµ¿»êÀÇ ÀÔÂû¹ý¿øÀº ±¤ÁÖÁö¹æ¹ý¿ø ¸ñÆ÷Áö¿øÀÔ´Ï´Ù.
ÀÔÂûÀÏÀº 2025-12-15ÀÔ´Ï´Ù.
ÀÔÂû½Ã°£Àº ~11:20ÀÔ´Ï´Ù. ÀÌ ¹ý¿ø¿¡´Â ½ÅÇÑÀºÇàÀÌ ÀÔÁ¡Çϰí ÀÖ½À´Ï´Ù.
|
Á¦½Ã¿Ü ¹°°ÇÀÌ Æ÷ÇԵǾî ÀÖ½À´Ï´Ù ¡®Á¦½Ã¿Ü ¹°°Ç¡¯Àº ÇØ´ç °øºÎ»ó¿¡´Â Á¸ÀçÇÏÁö ¾ÊÁö¸¸, ÇöÀå¿¡ Á¸Àç°¡ È®ÀεǴ ¿©·¯ ÇüÅÂÀÇ °Ç¹°, ±â°è±â±¸ µîÀ» ¸»ÇÕ´Ï´Ù. ÀÌµé ´ëºÎºÐÀº ¹«Çã°¡, ¹«½Å°íÀ̰ųª »ç¿ë½ÂÀÎÀ» ¹ÞÁö ¾ÊÀº °ÍÀÔ´Ï´Ù. ¡®Á¦½Ã¿Ü ¹°°Ç¡¯ÀÌ °æ¸Å´ë»ó¿¡ Æ÷ÇԵǾî ÀÖ´Ù¸é ³«ÂûÀÚÀÇ ¼ÒÀ¯±Ç Ãëµæ¿¡´Â ¾Æ¹«·± ¹®Á¦°¡ ¾ø½À´Ï´Ù. |
|
|
| Åë°è±â°£ |
³«Âû¹°°Ç¼ö |
Æò±Õ°¨Á¤°¡ |
Æò±Õ³«Âû°¡ |
³«Âû°¡À² |
À¯ÂûȽ¼ö |
| 3°³¿ù |
6°Ç |
829,484,563¿ø |
561,318,667¿ø |
55% |
3.3ȸ |
| 6°³¿ù |
11°Ç |
938,146,494¿ø |
566,843,273¿ø |
54% |
3.1ȸ |
| 12°³¿ù |
24°Ç |
1,191,188,845¿ø |
880,716,667¿ø |
63% |
2.5ȸ |
|
|
|
|
|
|
 |
|