|
|
|
| ¹°°ÇÁ¤º¸ Çٽɺ¸±â |
Ȩ > °æ¸ÅÁ¾ÇÕ°Ë»ö > ¹°°ÇÁ¤º¸ Çٽɺ¸±â |
|
|
| 2025Ÿ°æ3744 °æ¸Å»ç°ÇÀÇ °øÀå¿ëÁö ¹°°Ç¿¡ °üÇÑ »ó¼¼ Á¤º¸ÀÔ´Ï´Ù. |
|
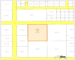
| ¼ÒÀçÁö |
Àü¶ó³²µµ ³ªÁֽà ¿Õ°î¸é ´ö»ê¸® 806-2
|
|
| »ç°Ç¹øÈ£ |
2025 Ÿ°æ 3744 |
¹°°Ç¹øÈ£ |
1
|
¹°°Ç¿ëµµ |
°øÀå¿ëÁö |
| °¨Á¤Æò°¡¾× |
2,680,863,900¿ø |
°æ¸Å´ë»ó |
ÅäÁö¸Å°¢ |
ÁøÇà»óÅ |
À¯Âû |
| ÃÖÀúÀÔÂû°¡ |
(56%) 1,501,284,000¿ø
|
°Ç¹°¸éÀû |
|
ÀÔÂû±âÀÏ |
2026.04.08(¼ö) 10:00
(ÀÔÂû 13ÀÏÀü)
|
| ÀÔÂûº¸Áõ±Ý |
(10%) 150,128,400¿ø |
ÅäÁö¸éÀû |
8,966.10§³(2,712.25Æò)
|
À¯ÂûȽ¼ö |
2ȸ |
| ÀÔÂû¹ý¿ø |
±¤ÁÖÁö¹æ¹ý¿ø |
°æ¸Å¹æ¹ý |
ºÎµ¿»êÀÓÀǰæ¸Å |
¹°°ÇÁ¶È¸¼ö |
¿À´Ã: 2ȸ [´©Àû: 1070ȸ]
|
| ¸»¼Ò±âÁØ | |
|
|
|
|
|
|
|
|
|
|
°æ¸Å´ë»ó ¸ñ·Ï
|
|
| ±¸ºÐ |
¸ñ·Ï |
ÁÖ¼Ò |
±¸Á¶/¿ëµµ/´ëÁö±Ç |
ºñ°í |
ÅäÁö
|
1 |
´ö»ê¸® 806-2 |
°øÀå¿ëÁö |
8966.1§³ (2,712.25Æò) |
|
|
|
2026-01-14
À¯Âû
|
(100%)
2,680,863,900¿ø
|
|
|
|
2026-02-25
À¯Âû
|
(70%)
1,876,605,000¿ø
|
|
|
|
2026-04-08
ÁøÇà
|
(56%)
1,501,284,000¿ø
|
|
|
|
|
|
°¨Á¤Æò°¡¼ ¿ä¾à |
|
[À§Ä¡/ÁÖÀ§È¯°æ]
º»°ÇÀº Àü¶ó³²µµ ³ªÁֽà ¿Õ°î¸é ´ö»ê¸® '³ªÁÖÇõ½Å»ê¾÷´ÜÁö' ³»¿¡ À§Ä¡Çϸç, ºÎ±ÙÀº À¾¼ÒÀçÁö ³» ¼ÒÀçÇÏ´Â °ø¾÷¿ë, °ø¾÷³ªÁö µîÀÌ È¥ÀçÇÏ´Â »ê¾÷´ÜÁö·Î ÀϹÝÀûÀÎ ÁÖÀ§È¯°æÀº º¸ÅëÀÓ.
[±³Åë»óȲ]
º»°Ç±îÁö Â÷·® Á¢±ÙÀÌ °¡´ÉÇϸç, Àαٿ¡ ¹ö½ºÁ¤·ùÀå ¹× °£¼±µµ·Î°¡ ¼ÒÀçÇÏ´Â µî ±³Åë»çÁ¤Àº º¸ÅëÀÓ.
3)ÇüÅ ¹× ÀÌ¿ë»óÅÂ
ÀÎÁ¢ÅäÁö ¹× ÀÎÁ¢µµ·Î¿Í µî°íÆòźÇÑ ¼¼ÀåÇü ÆòÁö·Î, °ø¾÷³ªÁöÀÓ.
4)ÀÎÁ¢ µµ·Î»óÅÂ
Áß·ÎÇѸéÀÓ.
[ÅäÁöÀÌ¿ë°èȹ]
µµ½ÃÁö¿ª , ÀϹݰø¾÷Áö¿ª , Áö±¸´ÜÀ§°èȹ±¸¿ª , Áß·Î1·ù(Æø 20m~25m)(Á¢ÇÕ), °¡Ãà»çÀ°Á¦Çѱ¸¿ª(800mÁ¦Çѱ¸¿ª_´ß, ¿À¸®, ¸ÞÃ߸®)£¼°¡ÃàºÐ´¢ÀÇ °ü¸® ¹× À̿뿡 °üÇÑ ¹ý·ü£¾, »ê¾÷À°¼º±¸¿ª(2021-09-15)£¼¿¬±¸°³¹ßƯ±¸ÀÇ À°¼º¿¡ °üÇÑÆ¯º°¹ý£¾, ¿¬±¸°³¹ßƯ±¸(2020-08-28)£¼¿¬±¸°³¹ßƯ±¸ÀÇ À°¼º¿¡ °üÇÑÆ¯º°¹ý£¾ÀÓ.
6)Á¦½Ã¸ñ·Ï ¿ÜÀÇ ¹°°Ç
ÇØ´ç»çÇ× ¾øÀ½.
[°øºÎ¿ÍÀÇ Â÷ÀÌ]
ƯÀÌ»çÇ× ¾øÀ½.
[Âü°í»çÇ×]
ÀÓ´ë°ü°è´Â ¹Ì»óÀÓ. |
|
|
|
 |
ÀÓÂ÷³»¿ª |
[¹è´ç¿ä±¸Á¾±âÀÏ : 2025/09/01] |
|
|
| ÀÓÂ÷ÀÎ |
Á¡À¯°ü°è |
ÀüÀÔÀÏÀÚ |
È®Á¤ÀÏÀÚ |
¹è´ç¿ä±¸ÀÏ |
º¸Áõ±Ý/Â÷ÀÓ |
´ëÇ׿ä°Ç |
ºñ°í |
| Á¶»çµÈ ÀÓÂ÷³»¿ªÀÌ ¾ø½À´Ï´Ù. |
|
|
|
 |
¹ý¿ø ¹°°ÇÀÚ·á ¿ä¾à |
|
|
|
|
| ¼Ò¸êµÇÁö ¾Ê´Â µî±âºÎ±Ç¸® |
|
| ¼³Á¤µÈ °ÍÀ¸·Î º¸´Â Áö»ó±Ç |
|
| ¹ý¿øÀÚ·á Æ¯ÀÌ»çÇ× |
[ÁÖ¿ä ¹®°Ç Á¢¼ö ³»¿ª]
[2025.12.24] ½Â°èÀÎ ³óOOOOOOOOOOO ä±ÇÀÚº¯°æ½Å°í¼ Á¦Ãâ
[2025.12.24] ½Â°èÀÎ ³óOOOOOOOOOOO °æ¸Å¿¹³³±Ýȯ±Þ°èÁº¯°æ½Åû¼ Á¦Ãâ
|
[¸Å°¢¹°°Ç¸í¼¼¼ ºñ°í¶õ]
- °ø¾÷³ªÁöÀÓ |
|
| ¿©ÀÇÁÖ°æ¸Å Á¶¾ð ÇѸ¶µð |
ÀÌ ºÎµ¿»êÀÇ ÀÔÂû¹ý¿øÀº ±¤ÁÖÁö¹æ¹ý¿øÀÔ´Ï´Ù.
ÀÔÂûÀÏÀº 2026-04-08ÀÔ´Ï´Ù.
ÀÔÂû½Ã°£Àº 10:00~11:10ÀÔ´Ï´Ù. ÀÌ ¹ý¿ø¿¡´Â ±¤ÁÖÀºÇà,½ÅÇÑÀºÇàÀÌ ÀÔÁ¡Çϰí ÀÖ½À´Ï´Ù.
|
|
|
| Åë°è±â°£ |
³«Âû¹°°Ç¼ö |
Æò±Õ°¨Á¤°¡ |
Æò±Õ³«Âû°¡ |
³«Âû°¡À² |
À¯ÂûȽ¼ö |
| 3°³¿ù |
4°Ç |
819,361,375¿ø |
376,215,000¿ø |
44% |
3.3ȸ |
| 6°³¿ù |
4°Ç |
819,361,375¿ø |
376,215,000¿ø |
44% |
3.3ȸ |
| 12°³¿ù |
5°Ç |
656,262,300¿ø |
301,513,200¿ø |
49% |
2.8ȸ |
|
|
|
|
|
|
|
 |
ÀαÙÁö¿ª ÃÖ±Ù ³«Âû»ç·Ê
|
|
|
 |
|
|
[¾È³»] Ȥ½Ã ÀÌ¿ëÀÌ ºÒÆíÇϽðųª »èÁ¦ÇÒ ³»¿ëÀÌ ÀÖ´Ù¸é ÃÖ´ëÇÑ ³ë·ÂÇØ¼ °³¼±ÇØ ³ª°¡µµ·Ï ÇϰڽÀ´Ï´Ù.
 |
|
ÀÌ »çÀÌÆ®¿¡¼ Á¦°øµÇ´Â ºÎµ¿»ê°æ¸Å ÀÚ·á´Â ¹ý¿ø °æ¸Å°è¿¡¼ ó¸®Çϰí ÀÖ´Â ½ÇÁ¦ ¹°°ÇÀÇ Á¤º¸¿Í ÀÏÄ¡ÇÏÁö ¾ÊÀ» ¼öµµ ÀÖ½À´Ï´Ù.
´ç»ç´Â º» ÀÚ·á¿¡ °üÇÏ¿© Á¤½Ä ÄÁ¼³ÆÃ ÀÇ·Ú°¡ ¾Æ´Ñ ÀÌ»ó ¾î¶°ÇÑ º¸Áõµµ ÇÏÁö ¾ÊÀ¸¸ç ¹ýÀû Ã¥ÀÓÀ» ÁöÁö ¾Ê½À´Ï´Ù.
ÀÔÂûÇϱâ Àü¿¡ ²Ä²ÄÈ÷ ¹ý¿ø¿¡ ºñÄ¡µÈ ¸Å°¢¹°°Ç¸í¼¼¼ ¹× ±âŸ °øºÎ¸¦ ÀçÈ®ÀÎÇϽðí ÀÔÂû¿¡ Âü°¡ÇÏ½Ã±æ ¹Ù¶ø´Ï´Ù. |
|
|
|
|
|